Presents
10 Clinch's Lane - For Sale

Trinity
Trinity Bay
Some would argue that Trinity, in Trinity Bay is one of the most picturesque settings on the island of Newfoundland. This town, resplendent with streetscapes lined with an abundance of restored 18th and 19th century homes, is indeed a gem. Then there are those who would argue that The Nuddick, located on the most easterly point of land protruding into the Northwest Arm, is the most prominent piece of land in Trinity. If you follow the assumptions, then this may be among the finest pieces of land to be offered for sale in the Province.
Visitors to this site may be curious about a place name on a parcel of land called “The Nuddick. Just as Nanny’s Hole on Twillingate Island relates to a specific feature associated with a cavern in the rocks accessible by the sea, The Nuddick relates to a specific land feature, in the form of a “hillock”, generally with a level top of sufficient space for a house or garden.
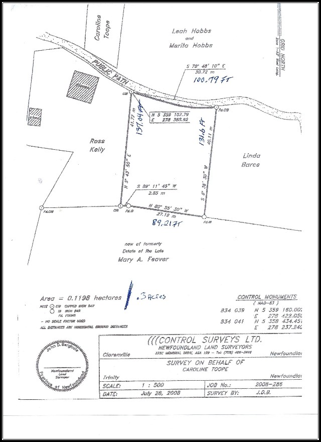
This particular parcel of .3 acres includes frontage on Clinch’s Lane and the “hillock” would be a spectacular place upon which one can build a house and set out a garden. Those interested in adding to the size of this land, an adjacent 1.91 acres with frontage on Church Rd is also available to purchase and the price of that parcel is $150,000. The views from this land are among the best on the Island of Newfoundland, overlooking the historic town of Trinity, Trinity Harbour and Trinity Bay. When walking on this land, one may be inspired to sing the Ode to Newfoundland as the site is so spectacular. Non residents can check out the words to the ode at http://en.wikipedia.org/wiki/Ode_to_Newfoundland and check out the actual singing of the ode at http://www.ucs.mun.ca/~hrollman/ode.html
Trinity is one of the earliest communities in Newfoundland to be settled by Europeans, with most settlers having emigrated from the South of England. In the 1500’s, there was a migratory fishery underway and in 1615, Sir Richard Whitbourne held the first Court of Admiralty in Trinity. Trinity Harbour was described in the 1689 English Pilot as “the best and largest harbour in all the land”.
There are 18th century references to The Nuddick Room in Trinity. The term "room" as applied to a tract of waterfront land, has a particular local significance which characterizes many ordinary English words in Newfoundland parlance. A fishing room generally included an entire mercantile establishment, i.e., stores, sheds, fish flakes, and wharves necessary to land and process the catch of fish. The usage originated with the arrival of English fishing admirals, who came to Newfoundland each season, before permanent settlement by Europeans took place on the island of Newfoundland. It became established that the first vessel to arrive for the season had a choice of shore locations upon which to construct landing, drying and curing facilities. The next vessel had second choice and so on. These reserved spaces became known as the Ship's Rooms and their locations and boundaries carefully guarded. There is no doubt that Nuddick Room, located on such a prominent headland in the harbour, would have been an active fishing room in the early days when Trinity was settled by people from the South of England.
This special plot of land would be very welcoming for a new owner who would appreciate the history of this area, and who would like to own a spectacular piece of property in this historic town, The area will offer great enjoyment for the buyer, the buyer’s family and guests for all seasons. The renowned Skerwink Trail, rated by Travel and Leisure Magazine as one of the top 35 trails in North America and Europe, is located just across the harbour. Closer to home, the trail which circles Gun Hill will be on your doorstep and as you complete the hike, you can drop in at Trinity Mercantile for your freshly ground morning coffee. There are many more trails to discover that will take you to resettled communities and coastal hike that are unrivalled.
Sailors and boaters will enjoy the 22 miles of Trinity Harbour coastline and can explore the many resettled communities on the islands and coastal headlands in Trinity Bay.
Sea Kayakers will enjoy a wonderful venue with a cave to explore at the harbour entrance and the Freshwater falls can be explored after a paddle of about 15 minutes. A boil up on one of the many beaches with freshly harvested mussels is a real treat.
Theatre goers can enjoy a play by Rising Tide Theatre (www.risingtidetheatre.com) or dinner at one of the local restaurants within the town of Trinity.
Nature lovers will enjoy seeing bald eagles flying above and whales (www.trinityeco-tours.com) , feeding on capelin among the bergie bits and remaining icebergs.
Divers can explore 18th century wrecks and harvest scallops on the ocean floor. www.newfoundlandshipwrecks.com
Berry pickers will be mesmerized by the abundance of blueberries and partridgeberries on your doorstep and livyers may be inclined to show you where the great bakeapple grounds can be found.
Salmon fishermen can try their hand at nearby Champney’s River or Trouty River and trout can be found in the many lakes and ponds. Cod jigging is available in season on your doorstep
Winter residents will enjoy the cross country skiing and unlimited land upon which skidooing can be enjoyed. Downhill skiers will enjoy White Hills, about an hour down the road. See www.discoverwhitehills.com
Golfers can bring their clubs as the View (www.theviewgolfresort.com) is just a few miles away and the incredible Terra Nova Golf Course (www.terranovagolf.com) is about an hour’s drive from this site.
For an incredible dining experience, you can take a short drive to the 4 ½ star Fisher’s Loft (www.fishersloft.com)
This general area in the Trinity Bight is a location in great demand in recent years with visitors from all over the world discovering all the pleasures this part of the world has to offer. There have been a number of visitors who have bought homes in the area and many others who have been fortunate enough to buy a suitable piece of land upon which to build a house. Most new builds are designed to complement the heritage architecture of the area. This is due in part to the fact that there is an individual living in the area, Frank LaPointe, who is an outstanding visual artist and designer and he is continually dealing with new clients wishing to build. There are many examples of his work to be seen in the area including the four primary buildings at Fisher’s Loft. Also check out this house which was recently built on the Nuddick:
Viewers of this site may also wish to check out www.fallfordiscovery.com, www.tandompassage.tv/, www.trinitybightvacations.com, www.newfoundlandvacationhomes.com, www.vintagenewfoundland.com, www.nf.sympatico.ca/ttci/ and the town of Trinity web site at www.townoftrinity.com. For a comprehensive look at Newfoundland and Labrador, check out www.newfoundlandlabrador.com
Enjoy the photos that follow that should give you a perspective of this piece of property. The price is $90,000. For further information, please call:
Chris O’Dea at 709-685-6559 or email cod@warp.nfld.net
Enjoy the remaining photos
Click thumbnail below to enlarge image: